17 Total Photos [Click to View All]
Listed By
Agency Name: Wilson Group Real Estate
Agency Phone: 6153851414
Shown By
Agency Title: HALO Realty, LLC
Agency Phone: 615 822 3509
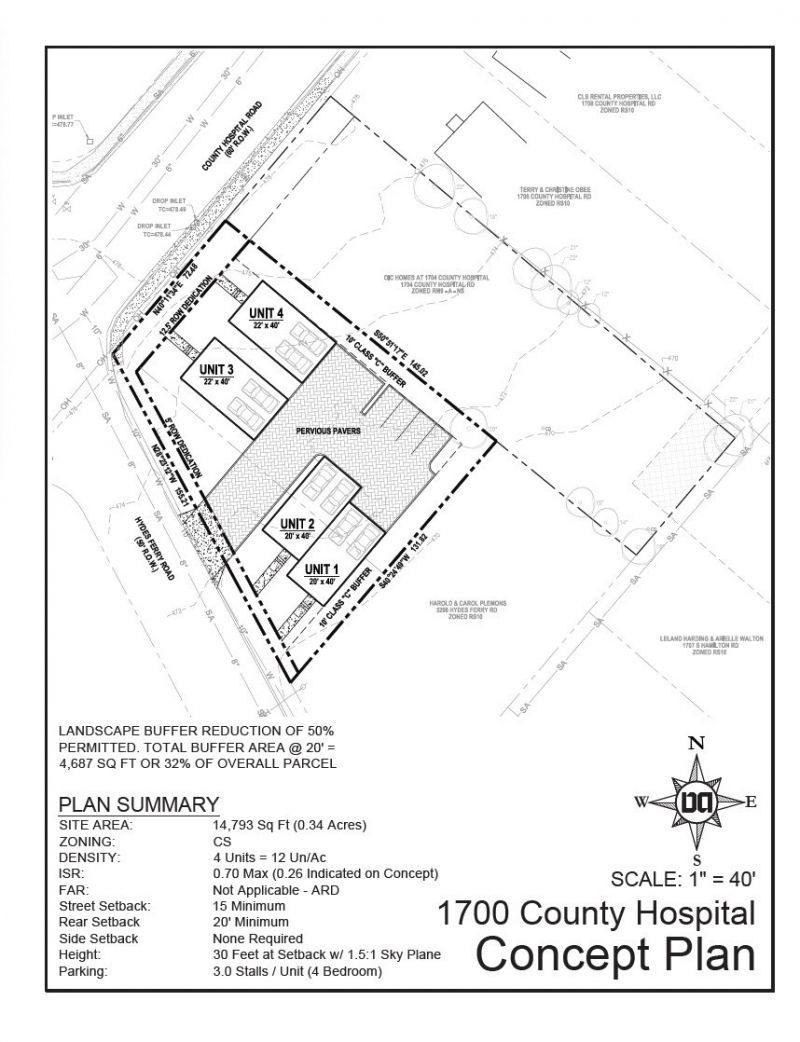
Prime development opportunity featuring two CS-zoned lots, just under 1/3 of an acre, with flexible potential for commercial, mixed-use, or multifamily development. Flat lot with minimum grading required. Located in an ultra-convenient setting less than four miles from the heart of downtown Nashville, this property allows for up to NINE residential units. Luxury short-term rentals on the adjacent corner highlight the strong demand and growth in the area. Site plans and survey are available. A rare chance to build in rapidly transforming Bordeaux, one of Nashville's most promising emerging neighborhoods. Can be purchased with 1704 County Hospital...read more
Estimated Payment
$ 2,818.61 per month $2,470.15 Principal & Interest $198.25 Property Tax $150.21 Homeowner's InsuranceListed By
Agency Name: Wilson Group Real Estate
Agency Phone: 6153851414
Shown By
Agency Title: HALO Realty, LLC
Agency Phone: 615 822 3509
Send an email with a link to
1700 County Hospital Rd, Nashville, TN 37218.
Contact an agent to learn more about
1700 County Hospital Rd, Nashville, TN 37218.
Thank you for your inquiry! As a thank you, we have a Special Mortgage Offer for You.
We would like to provide you a free, no-obligation, home loan pre-approval review.